NEW
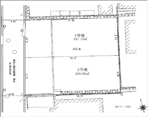
枚方市楠葉野田3丁目 2号地
| 所在地 | 大阪府枚方市楠葉野田3丁目 |
|---|---|
| 交通 | 京阪本線樟葉駅 徒歩20分 |
| 価格 | 3,180万円 |
|---|
| 物件種別 | 売地 |
|---|---|
| 築年月 | - |
| 間取 | |
| 土地 | 150.66m² |
| 構造 | |
| 物件番号 | 67825236 |
| 掲載期限日 | - |
| 都市ガス公営水道排水下水土地面積約45.57坪 宅地造成工事完了済 小学校まで徒歩約1分 建築条件なし お好きなハウスメーカー・工務店で建築していただけます ●住宅ローンお任せ下さい。(自営業・派遣社員・過去に住宅ローンが組めなかった方など) ●下記キャンペーン実施中 ①当社、《手数料》 キャンペーン実施中(弊社ホームページに多数あります。) ②《買い取り》 キャンペーン実施中 詳しくはお問い合わせください。 | |
間取り・写真


画像をクリックすると左に大きく表示されます


物件詳細情報
| 価格 | 3,180万円 | 間取 | |
|---|---|---|---|
| 物件種別 | 売地 | ||
| 所在地 | 大阪府枚方市楠葉野田3丁目 枚方市楠葉野田3丁目 2号地 |
||
| 交通 | 京阪本線樟葉駅 徒歩20分 | ||
| 駐車場 | 取引態様 | 仲介 | |
| 引渡/入居時期 | 即時 | 現況 | 更地 |
| 地目 | 宅地 | 用途地域 | 第一種低層住居専 |
| 都市計画 | 市街化区域 | 地勢 | |
| 土地面積 | 150.66m² | 土地面積計測方式 | 公簿 |
| 建ぺい率 | 50% | 容積率 | 100% |
| 土地権利 | 所有権 | 接道状況 | |
| 接道方向1 | 西 | 接道間口1 | |
| 接道種別1 | 接道幅員1 | 約4.6m | |
| 周辺環境 |
樟葉北小学校 楠葉中学校 |
||
| 設備・条件 | 都市ガス公営水道排水下水土地面積約45.57坪 宅地造成工事完了済 小学校まで徒歩約1分 建築条件なし お好きなハウスメーカー・工務店で建築していただけます ●住宅ローンお任せ下さい。(自営業・派遣社員・過去に住宅ローンが組めなかった方など) ●下記キャンペーン実施中 ①当社、《手数料》 キャンペーン実施中(弊社ホームページに多数あります。) ②《買い取り》 キャンペーン実施中 詳しくはお問い合わせください。 | ||
| 物件番号 | 67825236 | ||
| 自社物 | 状態 | 売出中 | |
| ※物件掲載内容と現況に相違がある場合は現況を優先と致します。 | |||
周辺情報
Loading...
